Tel: 718-896-0777
Cell: 347-219-2037
Fax: 718-896-7020













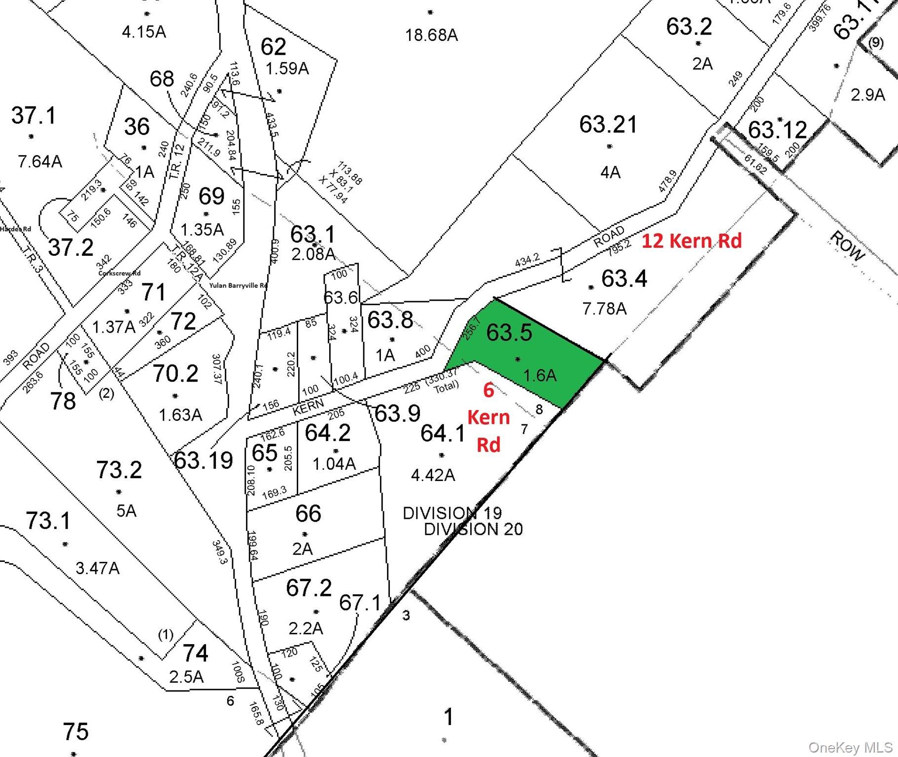
Opportunity Knocks! This 1.6-acre Property On A Quiet, Private Road Offers Endless Potential. The Existing Tear-down Mobile Home Can Be Rebuilt On The Same Footprint Or Replaced With Your Dream New Build. A Detached Garage On Site Adds Extra Storage Or Workspace. If You've Been Thinking About Creating Your Own Upstate Oasis, This Is The Perfect Place To Start, Located Just Minutes From The Heart Of Barryville And The Delaware River. Don't Wait-call Today!
| Location/Town | Highland |
| Area/County | Sullivan County |
| Post Office/Postal City | Barryville |
| Prop. Type | Single Family House for Sale |
| Style | Other |
| Tax | $1,628.00 |
| Bedrooms | 1 |
| Total Baths | 1 |
| Full Baths | 1 |
| Year Built | 1968 |
| Construction | Other |
| Lot SqFt | 69,696 |
| Cooling | None |
| Heat Source | Other |
| Util Incl | Trash Collection Private |
| Days On Market | 1 |
| Parking Features | Detached |
| Tax Assessed Value | 54525 |
| Tax Lot | 63.5 |
| School District | Eldred |
| Middle School | Eldred Junior-Senior High Scho |
| Elementary School | George Ross Mackenzie Elem Sch |
| High School | Eldred Junior-Senior High Scho |
| Features | Other |
| Listing information courtesy of: Payne Team LLC | |